x
伤感标签
伤感图片
伤感说说
伤感的句子说说心情
伤感图片
空间说说
心情说说
伤感图片带字
非主流伤感图片
爱情说说
女生伤感说说
人生感悟
唯美伤感图片
女生伤感图片
心情不好的说说
说说带图片
关于生活的说说
唯美意境图片
说说心情短语
悲伤的图片
唯美意境伤感图片
只有字的伤感图片
qq空间说说带图片
个性说说
说说图片
励志名言
伤心的图片
情感口述
一句话经典语录
美甲图片
图片大全
感悟人生的经典句子
短句吧
情感故事
情感图片
微信头像男
动态壁纸
抖音文案
动漫配图
伤感标签
首页
说说
动漫
口述
句子
图片
首页
>
cad顶棚布置图怎么画
cad顶棚布置图怎么画,cad顶棚布置图
【美华建筑设计】cad布局视口画图,提高画图效率,大神
35款天花顶棚图cad图库大全(带剖面图线路图)
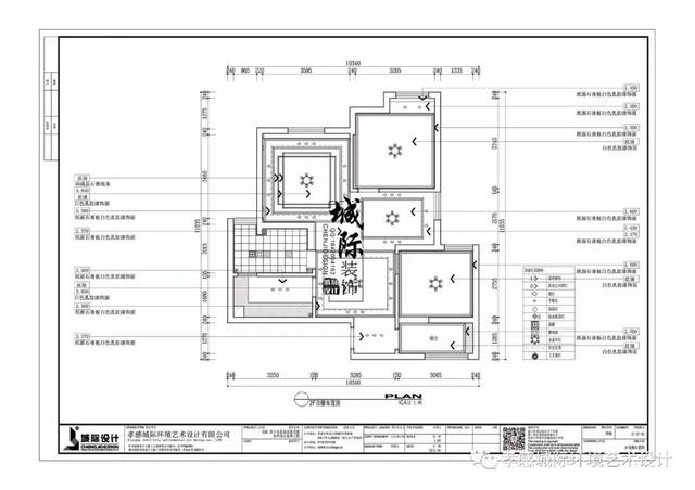
5,2f顶棚布置图
鸿楼集团装饰|盛景澜湾户型2居室面积74.7平米案例赏析
4,1f顶棚布置图
更多推荐
cad顶棚布置图
cad灯具布置图
cad顶面布置图详细步骤
cad顶面布置图
顶棚平面图怎么画
cad顶棚
cad顶棚平面图怎么画
cad天花布置图怎么画
顶棚布置图怎么画
cad灯光布置图怎么画
cad开关布置图怎么画
cad天花板布置图怎么画
cad水路布置图怎么画
cad电路布置图怎么画
cad插座布置图怎么画
cad吊顶图怎么画
在cad塔吊布置图怎么画
cad强弱电布置图怎么画
cad天花吊顶图怎么画
cad画塔吊布置图
天花布置图怎么画
cad石膏线吊顶怎么画
cad室内天棚布置图
cad水电图怎么画
cad顶棚平面图图片
cad顶棚图平面图
cad顶棚图效果图大全
cad天花布置图平面图
cad水电施工图怎么画
开关布置图怎么画
说说分类
伤感说说
空间说说
心情说说
爱情说说
女生伤感
人生感悟
心情不好
说说带图片
生活的说说
心情短语
qq空间说说
个性说说
励志名言
经典语录
感悟人生
伤感句子
短句吧
情感故事
图片分类
伤感图片
伤感带字
非主流伤感
唯美伤感
女生伤感
唯美意境
悲伤的图片
意境伤感
只有字伤感
说说图片
伤心的图片
美甲图片
图片大全